
Har du funderat på att någon gång testa att dyka med tuber? Men du har kanske inte lust att sätta av den tid eller de pengar som krävs för att gå en hel dykkurs? I alla fall inte innan du provat om detta är något för dig? Då finns det något som heter prova-på-dyk. Jag och min förstfödde, Anton, som då var 15 år, min bror och hans döttrar som var 11 och 13 år, testade när vi var på dyk-ön Lankayan utanför Borneo. Här kan du läsa om hur det gick till.
När vi kommer till Lankayan tillsammans med min bror och hans familj får vi snart reda på att han har planerat att göra ett prova-på-dyk med sina döttrar. De är 11 och 13 år gammla. Vi får frågan om vi vill hänga på. Minstingen, som fyller 14 år på Lankayan vill absolut inte prova att dyka och min sambo Anders har blivit av med sin mask med slipade glas. Troligtvis glömde vi den på Kuba. Utan slipade glas ser han tyvärr inte ett smack. Men Anton, 15 år, vill mer än gärna prova. Så då är vi totalt fem personer som anmäler oss till ett prova-på-dyk nästa morgon. Både jag och min bror har egentligen dyk-certifikat sedan förr, från var sitt håll, men ingen av oss har dykt på många år. Så det här blir som ett avrostningsdyk för oss, samtidigt som vi får följa med våra ungdomar när de för första gången provar att dyka med tuber. Priset är ungefär 1000 kr perperson.
Inte helt riskfritt
Efter frukosten går vi bort till det dyk-hus som finns längst ut på en av öns bryggor. Först av allt får vi skriva under ett avtal med massor av finstilt. Jag vill egentligen inte tänka på vad som står i de där papprena. Och inte heller på om vi har en försäkring som täcker vård i tryckkammare. Eller om det ens finns någon tryckkammare på rimligt avstånd. (En sådan behövs om du skulle drabbas av dykarsjuka.) Däremot är jag senare noga med att kräva att vi inte ska dyka för djupt. Och vi håller oss också till regeln att inte dyka inom 24 timmar före en flygresa. Att dyka är nämligen ingen helt riskfri aktivitet. Men vad i livet är helt riskfritt? Jag utgår ifrån att våra dykinstruktörer vet vad de gör och värnar om vår säkerhet. Jag utgår, helt enkelt, ifrån att allt ska gå bra.
På land
Nästa steg är att vi får låna var sin våtdräkt och ta på oss dem. Vi får också låna var sin mask och fenor. Eftersom de inte har fenor för vuxna i min storlek ber jag istället min sambo Anders hämta mina egna, medhavda. Så plockar instruktörerna ut var sitt redan monterat paket med väst, lufttub, regulator och manometer.
De masker vi fått låna sprejas med något kemiskt jox. Det är tydligen inte modernt att spotta i masken längre. Jag vet inte vilket som är äckligast egentligen, men nåja.
Vi får testa att andas i regulatorn och instruktören visar den knapp som kan tömma den på vatten, med hjälp av en luftpust från tuben. Vi får också instruktioner om att det är viktigt att hela tiden andas i långa djupa andetag, aldrig hålla andan, särskilt inte när du är på vägg upp igen. Vi får också en genomgång av olika dyktecken att teckna med händerna under vattnet för att kommunicera med varandra: ”är allt okej?”/”allt är okej”, ”vi går ner”, ”jag har problem”, ”med örat” samt ”haj” och ”sköldpadda”. Vi blir också nogsamt instruerade att inte göra ”tumme upp” under vatten för att markera att något är bra. Det betyder nämligen ”vi går upp till ytan” och det är ju ett helt annat budskap.
Nästa steg är en övning på land. Vi får fylla våra masker med vatten från en tunna och ta dem på oss, för att sedan öva oss på att tömma dem genom att försiktigt vinkla ut nederkanten på masken och samtidigt blåsa ut luft genom näsan.
Vi delas in i två grupper. En instruktör tar hand om de två yngsta deltagarna, min brors döttrar och en instruktör tar hand om Anton, mig och min bror.


Första övningarna i vatten
Så är det då äntligen dags att ta på sig all utrustning och gå ner i vattnet. På med väst och tub och in med regulatorn i munnen. Bit om bitstyckena på regulatorn. Andas i lugna djupa andetag. Som yoga. På med fenor och mask. Vi får en sista instruktion att aldrig själva fylla eller tömma västen på vatten. Detta sköter instruktören åt oss.
Så är det dags att med ganska klumpiga steg ta sig ner för en stege i det turkosa, ljumma vattnet. Vi ska ställa oss på knä på sandbotten. Men jag har för låg densitet. Flyter upp igen. Så jag får lite bly i västen och sedan fungerar det bra att göra övningarna.
Släppa in lite vatten i masken och tömma ut det igen genom att blåsa ut luft med näsan samtidigt som du släpper ut vattnet genom att glipa lite på masken.
Nästa övning går ut på att ta ut regulatorn ur munnen och sedan sätta in den igen och tömma den på vatten.
När alla tre i min grupp gjort båda övningarna simmar vi en lite runda på ganska grunt vatten runt dykhuset. Vi ser ett stort stim med väldigt bleka fiskar men det här går mest ut på att bekanta sig med utrustningen.


Ut på djupare vatten
Efter en liten paus kommer vi tillbaka till dykhuset för att ge oss ut med båt. Nu har elvaåringen hoppat av, så det är min bror och hans äldsta dotter samt jag och min äldsta son som ska dyka. Med instruktör, så klart.
Vi tar på oss utrustningen igen och kliver i båten. Den tar oss ut en bit över vattnet till en sandbank och ett rev en liten bit ut. Kanske tio minuter med båten. Nu ska vi ta oss ner i vattnet. Genom att sätta oss på båtens kant och falla i baklänges. Först visar instruktoren hur vi ska göra genom att själv ta sig i.
Min bror och min son kommer snabbt i utan problem, men min brors dotter tvekar en ganska lång stund. Men så tappar hon balansen. Och faller i baklänges. Precis som man ska. Och så är det min tur att tveka en stund. Jag har gjort det här förut. Men det tar emot. Jag vill inte. Men jag vet ju att jag kan. Så då gör jag det bara. Lutar mig bakåt och låter det hända. Och så är jag också i vattnet.
Tumme ner. Betyder att nu går vi ner under ytan.
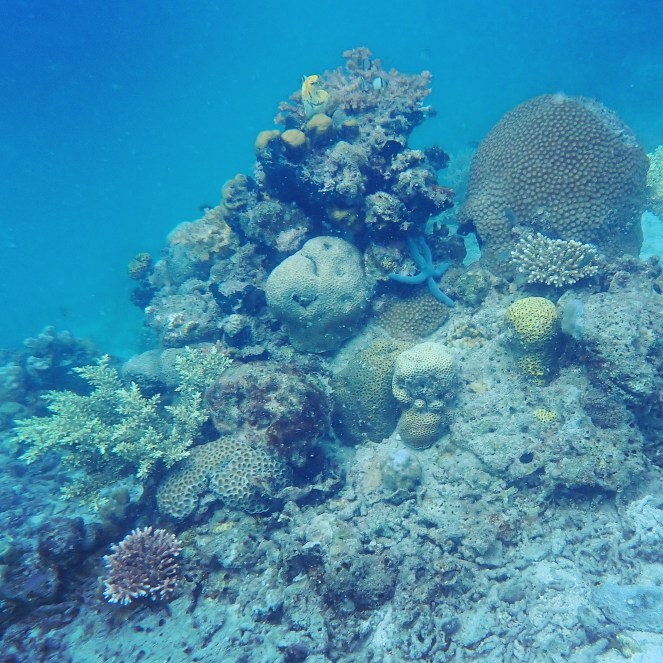
Instruktören visar vägen men oftast ligger min son först i vattnet. Instruktören har en liten pingla som han pinglar med för att Anton inte ska dra iväg. Vattnet är tyvärr lite, lite grumligt med stora ljusa ”flingor” av någon slags växt eller något. Men vattnet är ändå långt mycket klarare än Östersjöns vatten. Korallerna här är fantastiskt fina och vi ser en del fisk. Jag fotograferar lite så jag håller inte koll på manometern. Men Anton berättar efteråt att vi som mest var nere på sju meters djup. Det tycker jag är precis lagom för ett prova-på-dyk.
En halvtimme går fort och snart är det dags att långsamt gå upp till båten igen. Strax är vi i ytan. En stege fälls ner som vi kan klättra upp på. Och vi är nu så klart alldeles fulla av prat om det vi just upplevt, som vi bara får ur oss en liten del av under den korta båtresan tillbaka.
Anton säger bland annat ”Kan vi inte åka på en resa snart där jag kan ta dykcertifikat?”
Vi har ännu ingen sådana resa inplanerad. Men vem vet vad vi hitta på längre fram.










Jag kan tänka mig att det är fantastiskt att dyka, och att det öppnar upp sig en helt ny värld där under ytan, skulle gärna själv vilja prova nån gång – men jag är nog för feg för det, jag njuter av dina fina bilder istället :-)
Ibland kan det kännas bra att utmana sig själv.
Just prova-på-dyk är ju annars bra om man är lite försiktig av sig. Men visst – man ska aldrig göra något om man verkligen inte vill.
Utmaningar är alltid spännande, och står jag inför det, brukar det bli bra till slut 👍 Prova-på-dyk låter ju som en bra början 😊 Vi får se om jag ställs inför en dykutmaning nån gång, plötsligt händer det kanske 😊🤗
👍
Inte lätt att fota under vatten, men du har lyckats bra.
Tack! Jag behövde ju hålla koll på dykledaren och min son också, liksom mitt eget simmande och andning så jag tycker att bilderna blev helt okej utifrån omständigheterna. Jag hade ju inte dykt på över 15 år.
Det verkar spännande och jag skulle gärna prova. Tror jag. Är nyfiken på livet där under.
Mycket ser man redan genom att snorkla, men med tuber kommer du ner under ytan vilket öppnar upp en tredimensionell värld under vattnet på ett annat sätt. 👍🐟🐠
Så spännande att kunna komma ner på djupet och se en undervattensvärld! Jag kommer nog aldrig att göra det, det går nog inte riktigt ihop med min hälsa. Sonen tog dykcertifikat på Zanzibar för några år sedan. Jättefina undervattensfoton, den sista bildens stubbliknande tingest har jag aldrig sett tidigare.
Tack! Tråkigt med din hälsa. 😢Ja, det finns många spännande och annorlunda ting under havets yta. Kul att få komma ner någon enstaka gång i alla fall och få se. 😊